今日は、あきらさん・こうちゃん・さえさんと一緒に慶良間へ行ってまいりました!
のんびり癒しの1日でした😊
コンディション&データ
気温:26℃ スーツ:ウエット5㎜ 担当スタッフ:木村真佑美←写真のダウンロード
風速:東8m 波:1m うねり:なし
1本目:儀志布島(儀志布西) 透明度25m 水温:25℃ 流れ:下げ1
2本目:座間味島(アイダー) 透明度25m 水温:25℃ 流れ:なし
3本目:渡嘉敷島(アリガーケーブル) 透明度25m 水温:25℃ 流れ:上げ1
今日の海
今日は、あきらさん・こうちゃん・さえさんと一緒に慶良間へ行ってまいりました!




皆様、宜しくお願い致します♪

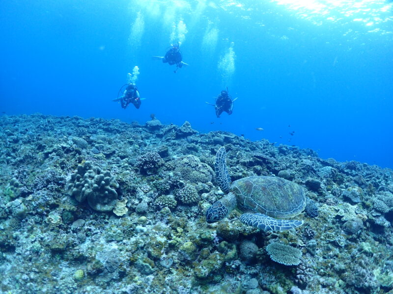
ここのポイントはアオウミガメ遭遇率高いです🐢

甲羅が綺麗な子!眠そう💤

大きなウミウチワと📷

ウミシダ展示会場🌼

いつもはドラゴンレディーでみるチョウハン、別ポイントでみるとなんだか新鮮🐟🐟

ヒメコモンウミウシ📷

安全停止をしていたら、🦈の影を見つけたので・・・中断w

2本目は深場へ出発!!!



あきらさんがお気に入りだったリュウキュウキッカサンゴゾーン😎
ノコギリダイがいっぱいでしたね👏

このシャコ貝は・・・何歳なんだろう・・・

可愛いサイズのコクテンフグの・・・お尻♡

ヤシャベラの餌付けタイム♪

ラストはドリフトダイビングへ!

まずはハナゴイの根へ!

トウモンウミコチョウがいました♡可愛い😊


皆様に気に入っていただけた、北の北の根!(古古米みたいw)

最後はまたカメと戯れて・・・


本日3ダイブ無事終了です♪最後はちょこっと晴れましたね😊
あきらさん
お気に入りの根が見つかって良かったです♪
同じポイントでも全然違う風景になりますね!
また次回も宜しくお願い致します!
こうちゃん
シーガルは・・・残念ながらまだお預けとなりましたが
必ずシーガルダイビングもしましょうね😢
明日もよろしくお願い致します!
さえさん
さえさんは・・・シーガル😎さすがでございます!
リハビリも無事に終えたので明日のもとぶも楽しんできてくださいね!
皆様、本日は有難うございました!
by おかん

19??/08/05
しし座・AB型
インストラクターID:820504-ID
京都出身のオカン。リベルテで2003年にオープンウォーターを取得し、着々と沖縄移住を計画し2004年に実行、そしてインストラクターに。
私生活では3姉妹の母です。趣味はダイビングと・・・お酒♪
水底から太陽を見上げたり、砂地にうつる太陽の光を眺めたり、ひたすらウミウシを探したり、とにかく
水中にいられるだけで幸せです!たまに那覇店にも出没します。
皆様、どうぞ宜しくお願いいたします♪
国家資格 潜水士
IDCSインストラクター
EFRインストラクター
他10資格保有
続きは下記のURLから
↓↓↓↓↓↓↓↓↓↓↓↓↓↓↓↓↓↓↓↓



コメント