今日は1名様とファンダイビングで慶良間へ行ってきました!
コンディション&データ
気温:23℃ スーツ:ドライスーツ 担当スタッフ:池田真佑美←写真のダウンロードはこちらから!
風速:東南東7m/s 波:1.5m うねり:なし 透明度20m
1本目:黒島(黒島北ツインロック)水温:21℃ 流れ:なし
2本目:渡嘉敷島(野崎)水温:21℃ 流れ:下げ1
3本目:儀志布島(儀志布西)水温:20.8℃ 流れ:下げ1
今日の海
今日は1名様とファンダイビングで慶良間へ行ってきました!

ようじさん、本日もよろしくお願いいたします😊

ブイ下にアカククリ×2🐟🐟

カスミチョウチョウウオ!

今日もキンギョハナダイが綺麗でした♪

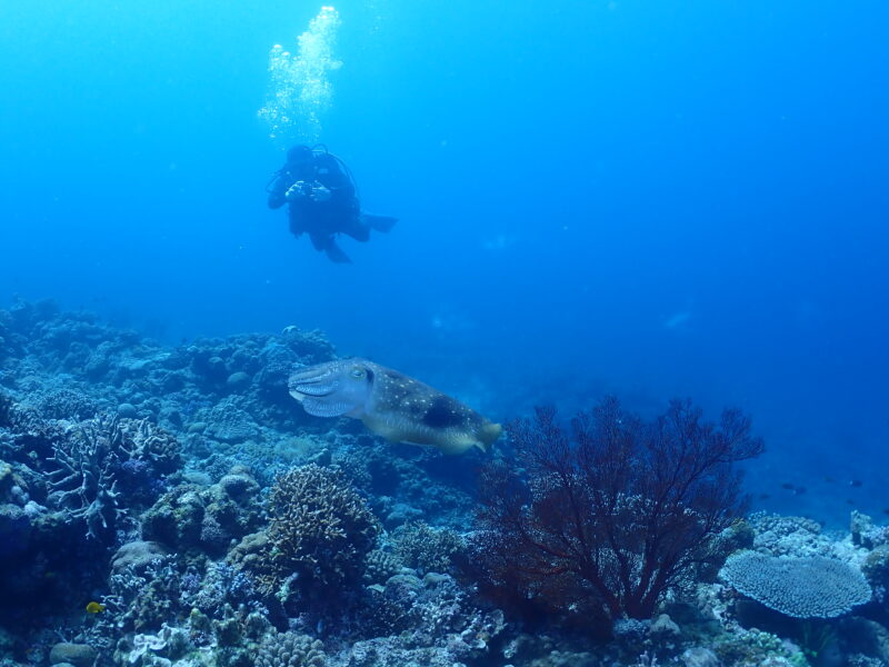
離れ根にわたっている途中、水路をコブシメが泳いで来ました🦑
何かかっこよかった・・・

離れ根にいたンパンダツノウミウシ🐼

グルクンとソフトコーラル!

沖側は何度もグルクンリバーが見れました!

ミニサンゴゾーン!

メインのサンゴゾーンはハナゴイがいっぱいでしたね~!

深場のサンゴゾーンはキンギョハナダイもいて、お魚いっぱいです!

ウメイロモドキ大量発生!!!

ずっと私たちのまわりをグルグル!個人的に大好きな🐟なのでテンションあがりました😊

やっと近くでコブシメ🦑!

ゆきさんチームに便乗して😊

最後はカメを探さないダイビングw
初心に戻ってハタタテダイ😎実はとてもきれいな🐟!

ウツボと戯れました📸

ネッタイミノカサゴ!

ここもグルクン&ハナゴイが綺麗でした!

センテンイロウミウシ📸

最後は安全停止中のバブルリング練習で〆
ようじさん
今日は3本ともドリフトダイビングでしたね!
気温が高く、夏でしたね😊(・・・水温は低いですが)
また来週お会いできるのを楽しみにしております♪
2日間有難うございました!
by おかん

19??/08/05
しし座・AB型
インストラクターID:820504-ID
京都出身のオカン。リベルテで2003年にオープンウォーターを取得し、着々と沖縄移住を計画し2004年に実行、そしてインストラクターに。
私生活では3姉妹の母です。趣味はダイビングと・・・お酒♪
水底から太陽を見上げたり、砂地にうつる太陽の光を眺めたり、ひたすらウミウシを探したり、とにかく
水中にいられるだけで幸せです!たまに那覇店にも出没します。
皆様、どうぞ宜しくお願いいたします♪
国家資格 潜水士
IDCSインストラクター
EFRインストラクター
他10資格保有
続きは下記のURLから
↓↓↓↓↓↓↓↓↓↓↓↓↓↓↓↓↓↓↓↓



コメント