1月29日KYONチーム

ドライスーツダイバー

今日は1名様とドライSPでチービシへ行ってきました!

コンディション&データ

気温:18℃ スーツ:ドライスーツ 担当スタッフ:杉本京子写真のダウンロードはこちらから!
風速:北東4m/s 波:2m→1.5m うねり:なし  透明度20m

1本目:神山島(大浜サンゴ)水温:20℃ 流れ:なし IN:09:25 OUT:10:00 TIME:35分 MAX:15m 平均:11m
2本目:神山島(ラビリンス)水温:21℃ 流れ:2 IN:10:42 OUT:11:21 TIME:39分 MAX:14m 平均:9m

今日の海

今日は1名様とドライSPでチービシへ行ってきました!

ドライスーツでの中性浮力の取り方~

ドライスーツのエアの排気は姿勢が大事👍

スキルを練習した後は大浜サンゴの方へ

砂地にホシテンスの幼魚がいました🐟

2本目潜行したらヤマブキベラがお出迎え

クマノミかわいかったですね🥰

吹きあがりの直し方ばっちりでした👌

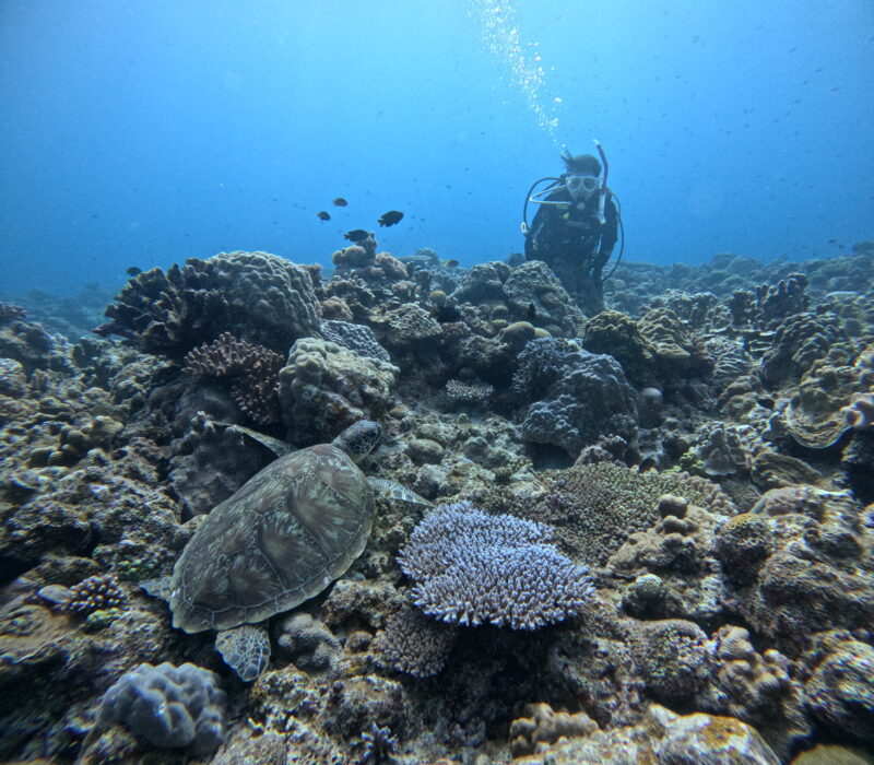
カメを連れてきてくれたオカンチーム🐢

ご飯食べたあとは眠くなったのか、じっとしてたのでゆっくり見れましたね✌

最後のスキルもばっちり👌

ドライSP認定おめでとうございます👏

安全停止中はアオリイカの群れが見れました~🦑

水中冷えましたね🥶
でも上がってからがドライだと全然違いますね😆!
明日は慶良間で楽しんできてください👋
ありがとうございました✨

きょん

コメント

タイトルとURLをコピーしました