今日はたぐっちゃんとマンツーマンで慶良間に行ってきました♪
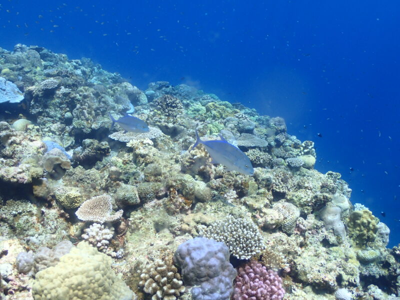
カスミアジを1年分見ました😎
コンディション&データ
気温:31℃ スーツ:ウェット3mm 担当スタッフ:池田真佑美←写真のダウンロード
風速:西5m/s 波:1m うねり:あり 透明度20m
1本目:黒島(ツインロック)水温:29℃ 流れ:下げ2
2本目:座間味島(六番崎)水温:29℃ 流れ:なし
3本目:座間味島(七番崎)水温:29℃ 流れ:上げ1
今日の海
今日はたぐっちゃんとマンツーマンで慶良間に行ってきました♪

たぐっちゃん、宜しくお願い致します😊
ボートもとってもすいててのんびりですね♪


心配された流れもほどよく!離れ根に渡ったら流れなしでしたね😊

そして・・・!!!遠くからアジの群れが😲(最初ギンガメアジかと思いましたが・・・)

わぁ~♪カスミアジいっぱい~~~🐟🐟🐟

近くをウロウロしてくれたので迫力がありましたね✨
私もたぐっちゃんもアドレナリンぶわぁ~~~でした😊

大満足しましたが・・・たぐっちゃんwww安全停止はまだですよ( ´艸`)

もう1回来てくれましたが、2回目は水面近くを通過のカスミアジ群

カツオの捕食シーンも見れました🐟

2本目はのんびりイソバナゾーンへ、ヤマブキスズメダイの幼魚の成長観察へ!

パラオハマサンゴ群

たぐっちゃんとの日課?今日も不在だったムチカラマツエビ・・・🦐

大きなミゾレウミウシ!

前回より大きくなっていたイロブダイの幼魚🐟

お天気良かったですね!
この後、暗がりに・・・巨大カスリハタがいてびっくりしました😲

オヤビッチャの群れ!

あ!またwww
今日はカスミアジDAYですね🐟🐟

安全停止中、ずっと近くにいてくれました😊

そして3本目は・・・
カスミアジからのスタートwwwww🐟

ご飯中🐟

マダラタルミの幼魚は模様が可愛いです!

たぐっちゃんの天敵・・・ドキドキ。

いないと思っていたら1匹だけおりこうさんがいました🐢

コガネアジのペアにも遭遇!

キレイでしたね✨

ウミシダヤドリエビでマクロもちょこっと!🦐

最後はボート下のアカヒメジを見て本日終了です!
たぐっちゃん
いやぁ、カスミアジ最高でしたね!
そして3ダイブともカスミアジ・・・😅
同じポイントでも日によって出会える生物が異なり
やっぱりダイビングは面白いですね♪
本日は有難うございました!
また来週宜しくお願い致します♪
by おかん

19??/08/05
しし座・AB型
インストラクターID:820504-ID
京都出身のオカン。リベルテで2003年にオープンウォーターを取得し、着々と沖縄移住を計画し2004年に実行、そしてインストラクターに。
私生活では3姉妹の母です。趣味はダイビングと・・・お酒♪
水底から太陽を見上げたり、砂地にうつる太陽の光を眺めたり、ひたすらウミウシを探したり、とにかく
水中にいられるだけで幸せです!たまに那覇店にも出没します。
皆様、どうぞ宜しくお願いいたします♪
国家資格 潜水士
IDCSインストラクター
EFRインストラクター
他10資格保有
続きは下記のURLから
↓↓↓↓↓↓↓↓↓↓↓↓↓↓↓↓↓↓↓↓



コメント